TÜRK AJANSI KIBRIS

Dünya
31.10.2025 - 11:19:52
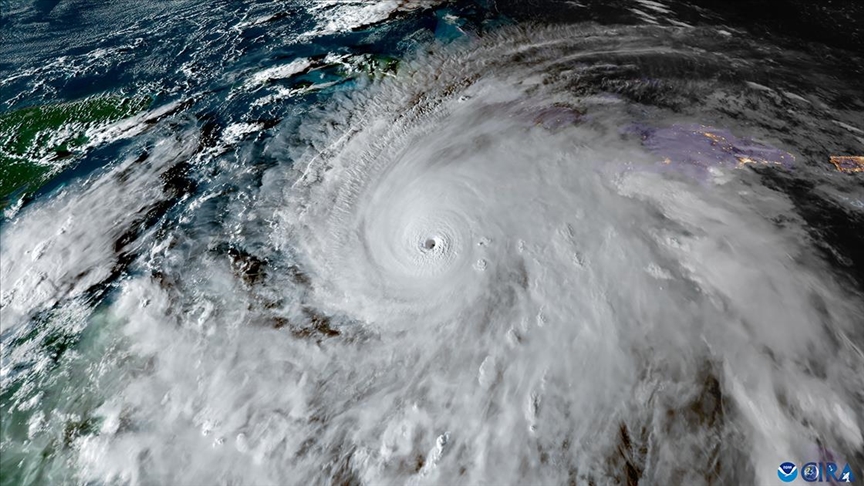
Karayipler'de Melissa Kasırgası nedeniyle 49 kişi yaşamını yitirdi

Ankara, 31 Ekim 25 (TAK): Karayipler'de geniş çaplı yıkıma yol açan Melissa Kasırgası sebebiyle hayatını kaybedenlerin sayısı 29'dan 49'a yükseldi.

İçeriğin devamı için abone olmanız gerekmektedir.